조황관리HOME / 조황관리 / 상세정보

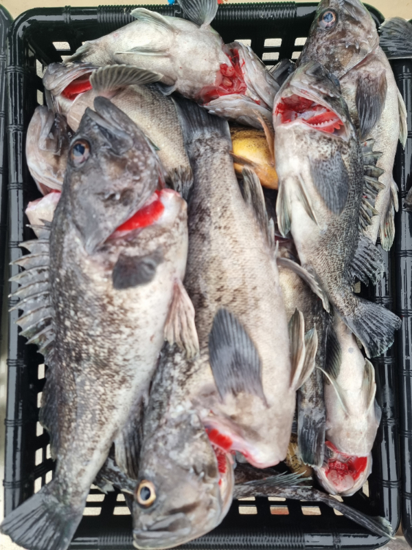
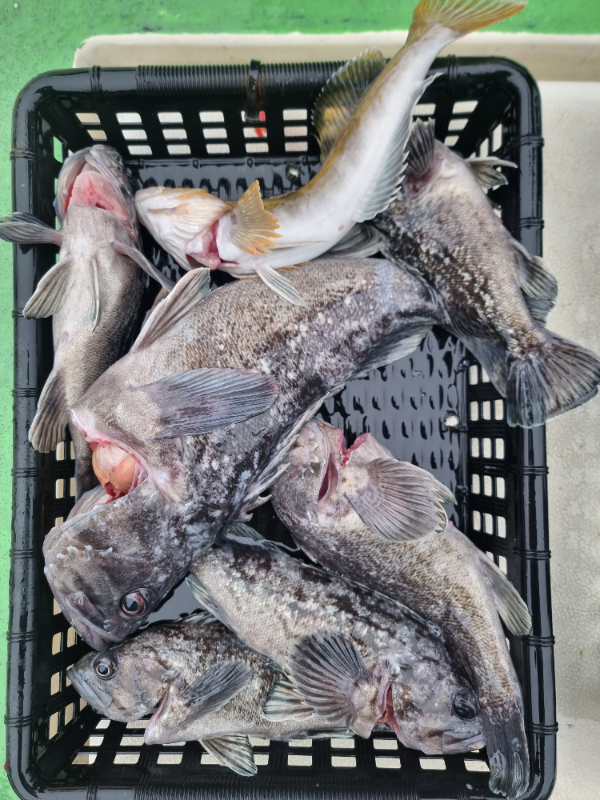
제목 : 24.2/3 우럭 라이트지깅 탐사 결과 입니다
등록일 : 2025-02-10
2/3
토요일 뉴해양호 아톰 김선장
마감 결과 입니다

내만 시작
어초 4개 탐사 결과 2마리

08시경 중내만으로 고고씽
헐 무시물때 물도 제데로 안가는데
우럭이/개우럭 입질 확인 ..... 히트 히트

최대한 물 방향으로
배질하면 좀 잡을거 같아습니다

결론은
어초 경험이 좀 있는 조사님들은
드실만큼 잡고 철수 했습니다

1000015591.jpg


1000015590.jpg


1000015593.jpg


1000015582.jpg


1000015592.jpg


1000015595.jpg


1000015594.jpg


1000015583.jpg


1000015597.jpg


1000015596.jpg


1000015599.jpg


1000015588.jpg


1000015598.jpg


1000015587.jpg


1000015601.jpg


1000015600.jpg


1000015589.jpg


1000015578.jpg

 



*** 홍원항 뉴해양호 예약 안내 ***


예약문의 : 010-3368-8462

오시는길 : 충남 서천군 서면 서인로 399 (부킹낚시점)

모바일.jpg 



 
Top